- Bornova’da kadınlar yogayla güçleniyor
- Karşıyaka’da ‘Çocuklar için 2. El Pazarı’na büyük ilgi
- Gaziemir Belediyesi’nden istihdama tam destek: CV Bank 2 yılda 2 bin 171 kişiye iş kapısı açtı
- Başkan Yetişkin’den “Adalete erişim herkes için ulaşılabilir olmalı” mesajı
- CHP’li Nalbantoğlu: Tutuklu kimlik kartı dayatması onur kırıcı bir uygulamadır
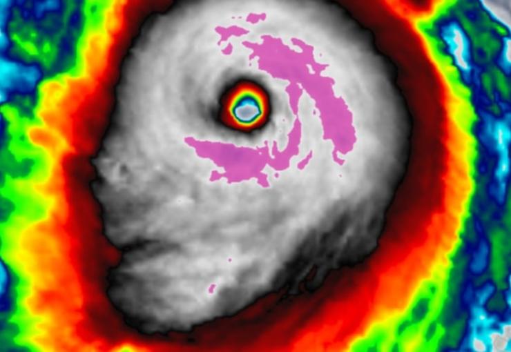
İşte ABD'yi dehşete düşüren 'canavarın yüzü'
100 yıldır ABD'yi vuran en güçlü kasırga olarak görülen Milton'un uydudaki görüntüsü sosyal medyada olay oldu. Birçok kişi kasırgayı "canavarın yüzü" olarak tanımladı.
"Canavar" olarak adlandırılan Milton, dün akşam Florida'nın Meksika Körfezi kıyısı boyunca Kategori 3 şiddetinde karaya vurdu.
ABD'de büyük panik yaratan Milton, iki kez Kategori 5 statüsüne ulaştı. ABD Ulusal Kasırga Merkezi, kasırganın akşam Florida'nın Siesta Key kasabası yakınlarında karaya çıktığında saatte 205 km hıza sahip olduğunu bildirdi.
ABD Ulusal Okyanus ve Atmosfer İdaresi (NOAA), kasırganın deniz üzerinde 8,5 metre yüksekliğe yakın dalgalar oluşturduğunu belirtti.
Bölgede 2 milyonun üzerinde haneye elektrik verilemiyor. İlk belirlemelere göre St. Lucie bölgesinde birden fazla can kaybı olduğu belirtildi.
Ulusal Meteoroloji Dairesi de Çarşamba günü Florida'da en az 15 hortum oluştuğunu doğruladı ve Perşembe gününün erken saatlerinde daha fazla hortumun beklendiğini kaydetti.
Milton Kasırgasının uydudaki görüntüsü ise sosyal medyada olay oldu. Birçok kişi kasırgayı "canavarın yüzü" olarak tanımladı.
Sözcü
Yorum Ekle
Diğer Haberler
ABD basını: İran ile yeni müzakere turu günler içinde yapılabilir
ABD basınına göre, İslamabad’da anlaşmasız sonuçlanan kritik görüşmelere rağmen ABD ile İran arasında müzakere kapısı kapanmadı. Yetkililer, günler içinde yeni tur için hazırlık yapıldığı...
ABD saat verdi: 'İran'a deniz ablukası başlatılacak'
CENTCOM, saat vererek İran limanlarına giren veya bu limanlardan çıkan tüm gemilere yönelik deniz ablukası başlatacağını duyurdu. ABD Merkez Kuvvetler Komutanlığı (CENTCOM) sosyal medya p...
İran masaya oturdu, resti çekti: Parmaklarımız tetikte kalacak
İran hükümeti, Pakistan’daki görüşmelere gönderilen heyetin ABD ile müzakere kararlılığını gösterdiğini açıkladı. Tahran yönetimi diyaloga açık olduğunu vurgularken, “egemenlikten taviz y...
Reuters: Mücteba Hamaney ağır yaralı
İran’ın yeni dini lideri Mojtaba Hamaney’in, savaşın ilk gününde düzenlenen saldırıda ağır yaralandığı ve uzun süredir kamuoyuna görüntü vermediği öne sürüldü.
'Minab 168': Katliamın adı diplomasiye taşındı
İran’ın İslamabad’daki kritik görüşmelere “Minab 168” adıyla gitmesi, savaşın ilk gününde bir ilkokula düzenlenen saldırıda yaşamını yitiren 168 öğrenci ve öğretmeni gündeme taşıdı. Tahra...
Ateşkes tartışmalı, bilanço ağır: Lübnan’da yıkım büyüyor
ABD ile İran arasında ilan edilen ateşkesin hemen ardından İsrail’in Lübnan’a yönelik saldırıları şiddetlendi. Yalnızca çarşamba günü yüzlerce kişinin yaşamını yitirdiği saldırılarda bila...
İran’dan ABD’ye müzakere mesajı: İyi niyetimiz var ama güvenimiz yok
İran Meclis Başkanı Muhammed Bakır Kalibaf, ABD'yle yürütülecek müzakerelere ilişkin, "İyi niyetimiz var ama güvenimiz yok" dedi. İran müzakere heyetinin başındaki Kalibaf, İslamabad Hava...
ABD, Orta Doğu’ya asker göndermeye hazırlanıyor
ABD ve İran arasında İslamabad'da görüşme beklenirken, ABD'nin Orta Doğu'ya 1500 ila 2 bin yeni asker göndermeyi planladığı öne sürüldü. Wall Street Journal gazetesinin konuya yakın bir k...
Melania Trump’tan iddialara sert ret!
Melania Trump, Jeffrey Epstein ile ilişkilendirildiği iddiaları reddederek Epstein’ın kendisini Donald Trump ile tanıştırmadığını ve hiçbir şekilde onunla arkadaşlık kurmadığını açıkladı....
SOSYAL MEDYA
MAGAZİN
Dilan Çiçek Deniz: Dünyaya daha farklı bakıyorum, anksiyete bir zayıflık değil
Dilan Çiçek Deniz, Numéro dergisinin ilk sayısı için Paris’te özel bir çekim gerçekleştirdi. Ünlü oyuncu anksiyeteyle nasıl mücadele ettiğini anlattı: “Ben yapı itibarıyla anksiyeteye yat...
TEKNOLOJİ
EDİTÖR'ÜN SEÇTİKLERİ
Ameliyatsız Parkinson tedavisiyle titreme durdurulabiliyor
Beyin ve Sinir Cerrahisi Uzmanı Doç. Dr. Ali Zırh, 11 Nisan Dünya Parkinson Günü kapsamında yaptığı açıklamada, tıbbi tedavinin yetersiz kaldığı durumlarda beyin pili ve akıllı ses ötesi yöntemlerinin hastaların yaşam kalitesini artırdığını vurguladı. Türkiye'de 180 binden fazla kişiyi ilgilendiren bu modern teknolojiler, hastaların günlük yaşamlarını hastalığın ilk yıllarındaki konfora geri döndürebiliyor.





Yorumlar
Bu haberde yorum bulunmamaktadir.